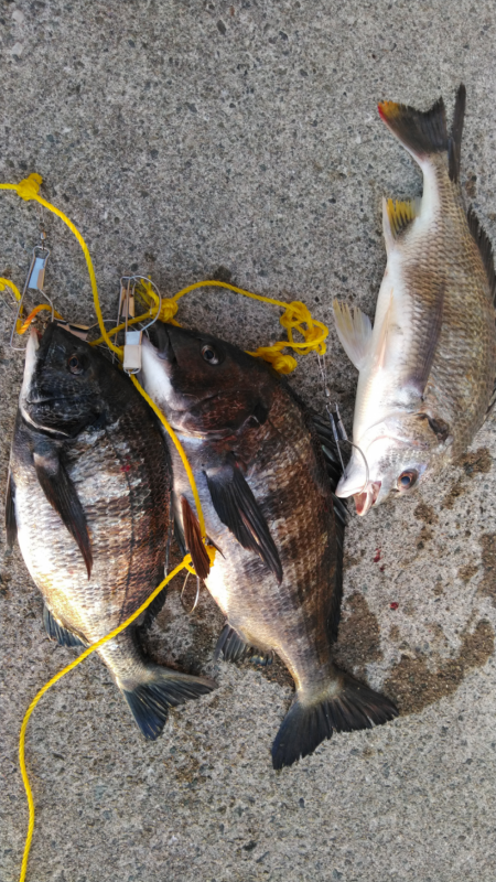
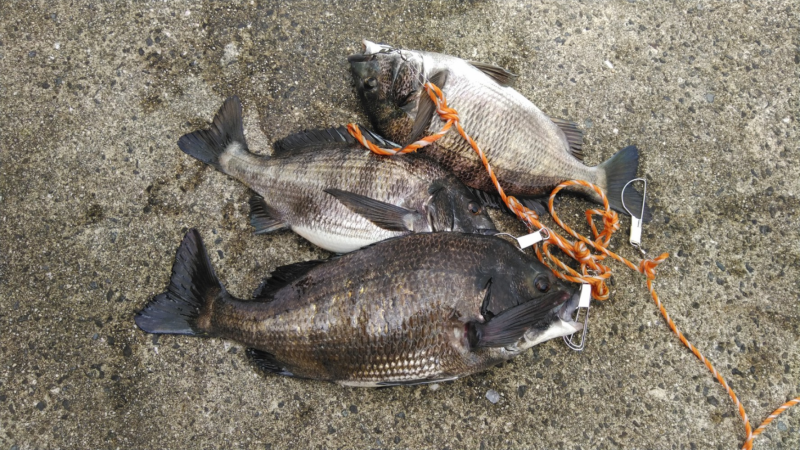
ヘチ釣りは防波堤などのフチにエサを落とし込んで釣果を得る。チヌやシーバスが釣れる。 大(50cm)と小(28cm) chinuo カンパリ清掃活動協力釣果 姫路西部の釣り情報 2022/08/13 UP! 朝マズメにヒットも針外れ。 アタリも無くなり、スリットへ移動。 見えチヌ多いが全… 関西の釣果 飾磨〜広畑の釣り情報 クロダイ(チヌ)釣り ヘチ釣り釣果 カンパリに釣果投稿で釣具購入PTゲット! 低酸素の中の年無しゲット ふくさん 尼崎〜芦屋の釣り情報 2022/08/12 UP! 昼間は暑いのと、大阪湾の低酸素状態で活性が悪いと思い、夕方の満潮にあわせて釣り場… 関西の釣果 南芦屋浜の釣り情報 クロダイ(チヌ)釣り ヘチ釣り釣果 カンパリに釣果投稿で釣具購入PTゲット! 夕方のヘチ釣り べっちょないで 激熱やァ 播磨・高砂の釣り情報 2022/08/10 UP! 夕方からのエントリーとなりました。 潮はゆっくりした上。 出来るだけ気づかれない… 関西の釣果 本荘人工島の釣り情報 クロダイ(チヌ)釣り ヘチ釣り釣果 カンパリに釣果投稿で釣具購入PTゲット! チヌ活性たかし べっちょないで 激熱やァ 兵庫県(瀬戸内海側)の釣り情報 2022/08/09 UP! 暑いけど、あちこちランガンしながらチヌを釣りました。 エサはイガイを使用して、さ… 関西の釣果 姫路西部の釣り情報 クロダイ(チヌ)釣り ヘチ釣り釣果 カンパリに釣果投稿で釣具購入PTゲット! イチノ兄弟、釣果! イチノ兄弟 姫路西部の釣り情報 2022/08/08 UP! 最近のあまりの暑さに夏バテしてしまい、今日は休もうかなと思っていましたが夕方だけ… 関西の釣果 飾磨〜広畑の釣り情報 クロダイ(チヌ)釣り ヘチ釣り釣果 カンパリに釣果投稿で釣具購入PTゲット! 毎度お馴染みの夜釣り 薬師☆まろ 尼崎〜芦屋の釣り情報 2022/08/08 UP! 今夜も懲りずに、いつもの場所で夜釣り。 今日は小潮で干満差が殆ど無く、潮の流れも… 関西の釣果 尼崎フェニックス〜釣り公園の釣り情報 スズキ・セイゴ釣り ヘチ釣り釣果 カンパリに釣果投稿で釣具購入PTゲット! イチノ兄弟、釣果! イチノ兄弟 姫路西部の釣り情報 2022/08/07 UP! 今日も非常に暑かったので、昼から少し遅いめのスタート(*´Д`*) … 関西の釣果 飾磨〜広畑の釣り情報 クロダイ(チヌ)釣り ヘチ釣り釣果 カンパリに釣果投稿で釣具購入PTゲット! 低酸素で食い気がないなぁ ふくさん 尼崎〜芦屋の釣り情報 2022/08/05 UP! 低酸素なのか、釣り場につくなり、スズキやボラが口パクパクさせて、表層をただよって… 関西の釣果 武庫川一文字の釣り情報 スズキ・セイゴ釣り ヘチ釣り釣果 カンパリに釣果投稿で釣具購入PTゲット! イチノ兄弟、釣果! イチノ兄弟 姫路西部の釣り情報 2022/08/01 UP! なんせ暑かったです_:(´ཀ`」 ∠): 車の温度計で37℃… 関西の釣果 飾磨〜広畑の釣り情報 クロダイ(チヌ)釣り ヘチ釣り釣果 カンパリに釣果投稿で釣具購入PTゲット! 渋い、1枚のみ chinuo 姫路西部の釣り情報 2022/07/31 UP! 前回同様、朝は全くアタリ無し。 最近の実績ある西側は諦め、東側のスリットへ移動。… 関西の釣果 飾磨〜広畑の釣り情報 クロダイ(チヌ)釣り ヘチ釣り釣果 カンパリに釣果投稿で釣具購入PTゲット! イチノ兄弟、釣果! イチノ兄弟 姫路西部の釣り情報 2022/07/31 UP! 今日も昼から男、行って来ました! 石積みのポイントとテトラのポイントの2ヶ所巡っ… 関西の釣果 飾磨〜広畑の釣り情報 クロダイ(チヌ)釣り ヘチ釣り釣果 カンパリに釣果投稿で釣具購入PTゲット! 尼P オーランド大会 ゆー 尼崎〜芦屋の釣り情報 2022/07/28 UP! オーランドの大会へ 朝イチ、皆さん1枚は釣られてました その後はチヌは奥へ行った… 関西の釣果 尼崎フェニックス〜釣り公園の釣り情報 クロダイ(チヌ)釣り ヘチ釣り釣果 カンパリに釣果投稿で釣具購入PTゲット! 爆バク!はつのツヌケしました! ふくさん 尼崎〜芦屋の釣り情報 2022/07/27 UP! 満潮時に釣り場に入りました。潮が動き出した瞬間から、バタバタ!っと連続で釣れまし… 関西の釣果 武庫川一文字の釣り情報 クロダイ(チヌ)釣り ヘチ釣り釣果 カンパリに釣果投稿で釣具購入PTゲット! おまけ チョコレート たつの・相生の釣り情報 2022/07/26 UP! ガシラでも釣ろうと穴釣り行きました。 ポツポツ釣れるが、リリースサイズが多数。 … 関西の釣果 岩見港の釣り情報 グレ(メジナ)釣り 穴釣り(ブラクリ)釣果 カンパリに釣果投稿で釣具購入PTゲット! チヌの活性たかし! ふくさん 尼崎〜芦屋の釣り情報 2022/07/25 UP! イガイが猛暑でおちてるかな?と思いましたが、まだ着いていました。 落としていくと… 関西の釣果 西宮浜の釣り情報 クロダイ(チヌ)釣り ヘチ釣り釣果 カンパリに釣果投稿で釣具購入PTゲット! イチノ兄弟、釣果! イチノ兄弟 姫路西部の釣り情報 2022/07/25 UP! 今日もいつも通り昼から行って来ました! 今日は3ヶ所巡って来ました。 主に前打ち… 関西の釣果 飾磨〜広畑の釣り情報 クロダイ(チヌ)釣り ヘチ釣り釣果 カンパリに釣果投稿で釣具購入PTゲット! 26/57«< 前18192021222324252627282930313233次 >»