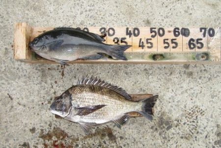
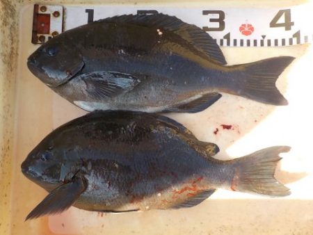
フカセ釣りは主にチヌやグレの釣果を狙う。堤防の他、地磯や沖磯が中心になる。 千津丸 釣果 千津丸 宮崎の釣り情報 2020/03/12 UP! 3月11日釣果! 磯釣り釣果 水温17.0℃ 風北から南2m 潮上り潮から上り寄… 九州の釣果 延岡市〜門川町の釣り情報 グレ(メジナ)釣り フカセ釣り釣果 カンパリに釣果投稿で釣具購入PTゲット! 大幸丸 釣果 大幸丸 四国の釣り情報 2020/03/11 UP! 3月11日 17番クジ 落ちフカセグレ40〜40cm 2枚… 四国の釣果 徳島の釣り情報 グレ(メジナ)釣り フカセ釣り釣果 カンパリに釣果投稿で釣具購入PTゲット! 大幸丸 釣果 大幸丸 四国の釣り情報 2020/03/09 UP! 3月9日 10時〜 5番クジ ゾウノハナ グレ34〜37c… 四国の釣果 徳島の釣り情報 グレ(メジナ)釣り フカセ釣り釣果 カンパリに釣果投稿で釣具購入PTゲット! 蝶栄丸 釣果 蝶栄丸 薩摩川内市〜日置市の釣り情報 2020/03/09 UP! 3/7屋敷さん、金丸さんの釣果 #九州 #鹿児島 #薩摩川内市 #日置市 #串… 九州の釣果 串木野新港周辺の釣り情報 クロダイ(チヌ)釣り フカセ釣り釣果 カンパリに釣果投稿で釣具購入PTゲット! 海星丸 釣果 海星丸 南さつま市〜指宿市の釣り情報 2020/03/09 UP! 3月9日更新 3月2日川畑さん 3月2日相羽さん 3月2日藤崎さん 3月3日森田… 九州の釣果 枕崎港の釣り情報 グレ(メジナ)釣り フカセ釣り釣果 カンパリに釣果投稿で釣具購入PTゲット! 千津丸 釣果 千津丸 宮崎の釣り情報 2020/03/09 UP! 3月8日釣果! 磯釣り釣果 水温17.0℃ 風北4m 潮下り潮でした。 久しぶり… 九州の釣果 延岡市〜門川町の釣り情報 グレ(メジナ)釣り フカセ釣り釣果 カンパリに釣果投稿で釣具購入PTゲット! 新車で長島 ななしさん 出水市〜阿久根市の釣り情報 2020/03/08 UP! 2日前に納車で2ヶ月振りに長島に釣りに来ました。 チヌの時期が来ました! #九… 九州の釣果 長島の釣り情報 クロダイ(チヌ)釣り フカセ釣り釣果 カンパリに釣果投稿で釣具購入PTゲット! 宮島丸 釣果 宮島丸 入間~田牛港の釣り情報 2020/03/08 UP! 3月8日(日)3月8日(日)雨水温17.3度北東の風やや強い 小金井市大澤様尾長… 中部の釣果 石廊崎~本瀬の釣り情報 グレ(メジナ)釣り フカセ釣り釣果 カンパリに釣果投稿で釣具購入PTゲット! 安指でグレ釣り? 助佐衛門 串本西部の釣り情報 2020/03/08 UP! 安指に渡船利用で釣行しました。 天気は下り坂、午後から撤収も考えられる中、朝から… 関西の釣果 安指漁港の釣り情報 ヘダイ釣り フカセ釣り釣果 カンパリに釣果投稿で釣具購入PTゲット! 寿丸 釣果 寿丸 西海市〜長崎市の釣り情報 2020/03/08 UP! 2020年3月7日釣果情報※2020年3月7日釣果情報 濵﨑さん&nb… 九州の釣果 樺島周辺の釣り情報 グレ(メジナ)釣り フカセ釣り釣果 カンパリに釣果投稿で釣具購入PTゲット! 伊豆下田フィッシング 釣果 伊豆下田フィッシング 下田~稲取の釣り情報 2020/03/07 UP! 3月7日神子元島Postedon2020年3月7日土曜日今日の神子元島 北東の風… 中部の釣果 下田~福浦の釣り情報 グレ(メジナ)釣り フカセ釣り釣果 カンパリに釣果投稿で釣具購入PTゲット! しば渡船 釣果 しば渡船 四国の釣り情報 2020/03/07 UP! 釣果3/6ご訪問ありがとうございます3月6日(金) 出船時間6:15~14:00… 四国の釣果 愛媛の釣り情報 グレ(メジナ)釣り フカセ釣り釣果 カンパリに釣果投稿で釣具購入PTゲット! 春日丸 釣果 春日丸 大分の釣り情報 2020/03/06 UP! 3/6 長田さん京都郡みやこ町勝山大久保クロ46cm #九州 #大分 #佐伯市… 九州の釣果 佐伯市の釣り情報 グレ(メジナ)釣り フカセ釣り釣果 カンパリに釣果投稿で釣具購入PTゲット! 伊豆下田フィッシング 釣果 伊豆下田フィッシング 下田~稲取の釣り情報 2020/03/06 UP! 3月6日神子元島 西の風2m〜東の風5m 水温17℃まずまずの釣果です #中部… 中部の釣果 下田~福浦の釣り情報 グレ(メジナ)釣り フカセ釣り釣果 カンパリに釣果投稿で釣具購入PTゲット! 大幸丸 釣果 大幸丸 四国の釣り情報 2020/03/05 UP! 3月5日8番クジ ヤカタ東フカセグレ34〜45cm 5枚 イサギ34cm 1枚T… 四国の釣果 徳島の釣り情報 グレ(メジナ)釣り フカセ釣り釣果 カンパリに釣果投稿で釣具購入PTゲット! 寿丸 釣果 寿丸 西海市〜長崎市の釣り情報 2020/03/05 UP! 2020年3月4日釣果情報※2020年3月4日釣果情報 匿名さん&nb… 九州の釣果 樺島周辺の釣り情報 グレ(メジナ)釣り フカセ釣り釣果 カンパリに釣果投稿で釣具購入PTゲット! 124/186«< 前116117118119120121122123124125126127128129130131次 >»