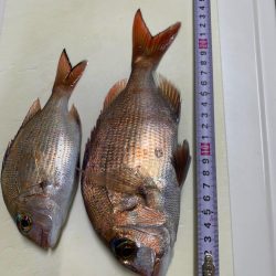
カンパリに釣果投稿で釣具購入POINTゲット! 兵庫(瀬戸内海) 天気・風 波・潮 まつぼん いいねしたユーザー Loading... いいねしたユーザー(件) 初の船釣り シェア ツイート LINEで送る 関西の船釣り・ジギング 兵庫(瀬戸内海)の釣り情報 マダイ釣り サビキ釣果 カンパリに釣果投稿で釣具購入PTゲット! # エサ釣り # サビキ # マダイ # 兵庫 # 瀬戸内海 # 関西 釣行日 2023/12/29 時間 昼 天気 晴れ 気温 やや寒い 潮 大潮 釣果 タイ?チャリコ?2匹 釣り方 タイサビキ 兵庫(瀬戸内海)での サビキ によるマダイ の船釣り釣果情報 まつぼん 釣り納めに初めての船釣り。 タイサビキの仕掛けが15メーターもあるのでちゃんと投げ込み、回収できるか不安だったがなんとかクリア。 あまり釣れてないみたいだが小さいの2匹が釣れて今年の釣りを締めくくれました。 来年もよろしくお願いします。 #関西 #兵庫 #瀬戸内海 #マダイ #エサ釣り #サビキ (件) 陸っぱり の釣果もチェック!! 淡水 の釣果もチェック!! ブラックバス の釣果もチェック!!