第一進丸
08/25釣果
本日も飯岡港より1号船、2号船(仕立て船)ともにヒラメ釣りに出船。
<1号船>
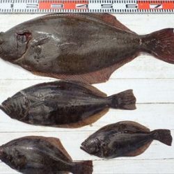
大板、大板絡みで2枚上がる、75cm、4.3kg、次72cm、3.8kg。
次68cm、68cm、67cm、65cm、64cm、60cm、と
いづれも肩肉の盛り上がった幅広の特肉厚東京ドーム型。
大型揃って数も釣り上がりました。
0.4~4.3kg、2~10枚、次8枚、7枚、6枚が2人、4枚が3人、、、
6割のお客様は4枚以上。
他、真カサゴ、イナダ、多数。
<2号船:仕立て船>
大板上がる、74cm、4.8kg。
丸々と太った、肩肉の盛り上がった幅広の特肉厚東京ドーム型。
0.4~4.8kg、1~6枚、
1枚はお1人で皆さん数釣り上げられました。
他、真カサゴ、イナダ。
おもてなし、として船宿から、
『船長賞・船長厳選の竿』と『船宿特製・仕掛け(2カラ入り)』を
プレゼントさせていただきました。
明日もヒラメ釣りに出船。
12:00現在ご予約3名様
空きがたくさんありますので、
ご予約をお待ち申し上げております。
















































