水曜釣り師
明石の魚英さんで鯛サビキ
アタリはめちゃくちゃありました
詳しくは
水曜釣り師の釣果
http://turituridaisuki.naturum.ne.jp/
目指せ、Noボーズ!
主に須磨から明石で春夏秋冬、
その時期の旬の魚を釣って
美味しくいただいています。
2018/04/18
朝
--
--
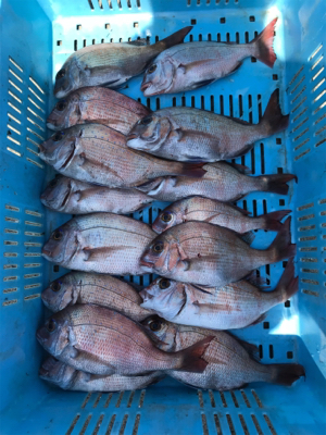
鯛 15匹
竿 リーディング 7-3調子 2m
リール 紅牙
ライン PE 1号 リーダー4号
サビキ 10m ハリス2.5号 幹糸 4号 エダス40cm
オモリ 30号
鯛サビキ
明石の魚英さんで鯛サビキ
アタリはめちゃくちゃありました
詳しくは
水曜釣り師の釣果
http://turituridaisuki.naturum.ne.jp/
目指せ、Noボーズ!
主に須磨から明石で春夏秋冬、
その時期の旬の魚を釣って
美味しくいただいています。