第一進丸
12/20 釣果
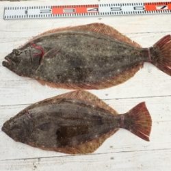
本日もヒラメに出船。
大板上がる、71cm、5.3kg
肩肉の盛り上がった幅広の特肉厚東京ドーム型。
次3kg、2.8kg、1~3枚、0.4~5.3kg 、
ソゲを含めて、いずれも、イワシをたっぷり食べた
肉厚のヒラメが、オデコ無く、皆さん釣り上げられました。
他、カサゴ、ヒラマサ、イナダ、青物も1~5尾と
お刺身に十分な数が釣り上がりました。
明日もヒラメに出船。
明日も天気は穏やかで、風も適度に吹く予報で
潮色良く、潮温も14℃~15℃と高く 、
イワシの反応も有り、ヒラメ釣りの条件が整っております
空きがたくさんありますので、
ご予約をお待ち申し上げております。
近々の大板の写真をHPのトップページ に掲示中、ぜひご覧ください
<進丸ニュース>
・ヒラメダービー参加方法をバージョンアップ!! new
・第二回旭市飯岡港初夏のヒラメ釣り大会優勝!! new
・2017年シーズンダービー1位賞品を『選べて』、さらに『パワーアップ』 !!new
・『席取順番札 』を設置いたしました。(夜間、席取りの安全確保のため)
・探していますⅡ!両軸リール・中通し竿・竿掛け!
・お誕生日割引きが更にお得に!!
・クーラーは30 ℓ を中心に35 ℓ まで
・安全、快適に、ミヨシに肘掛け付椅子を設置
・ルアーファンのお客様へ朗報!
・・・ 詳しくはこちらへ
*ライフジャケット乗船時、完全義務化 (2018年2月より)
ライフジャケットを購入して、ご自身の安全の為に、
乗船時には、命を守るアイテムを必ず着用しましょう
























