第一進丸
11/22 釣果
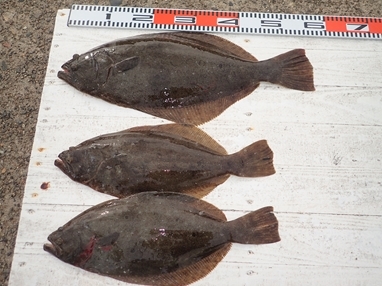
本日もヒラメに出船。
大板上がる。75cm、6.1kg。
肩肉の盛り上がった特肉厚東京ドーム型
0.5~6.1kg。
0~5枚。トップ5枚が2人。
良大型数上がり、良い模様です。
他、大型カサゴ、イナダ、ニベも上がる。
明日もヒラメに出船
空きがたくさんありますので、
ご予約お待ち申し上げております。
* 大板の板の写真を撮り忘れてしまいました。
| 船名 | 第一進丸 |
|---|---|
| 都道府県 | 千葉 |
| 場所 | 飯岡港 Google Map |
| ホームページ | http://shinmaru01.com/ |
| ブログ | http://1sinmaru.blog109.fc2.com/ |
| 電話番号 | 0479-57-6668 |
| ジャンル | エサ |
2017-11-22
日中
曇り
--
中潮
カサゴ(ガシラ),イナダ(ハマチ),ヒラメ,ニベ
泳がせ・のませ
11/22 釣果
本日もヒラメに出船。
大板上がる。75cm、6.1kg。
肩肉の盛り上がった特肉厚東京ドーム型
0.5~6.1kg。
0~5枚。トップ5枚が2人。
良大型数上がり、良い模様です。
他、大型カサゴ、イナダ、ニベも上がる。
明日もヒラメに出船
空きがたくさんありますので、
ご予約お待ち申し上げております。
* 大板の板の写真を撮り忘れてしまいました。