※現地に釣り禁止の看板のある場所や、釣り禁止エリアでの釣行、路上駐車・ゴミ放置などの迷惑行為はお控え下さい。
※釣行の際は、必ずライフジャケットを着用下さい。
クルッパ
Loading...
いいねしたユーザー(件)
# nissin
# インヴィクタクロダイMBリミテッド
# インヴィクタマイクロヘチ
# エサ釣り
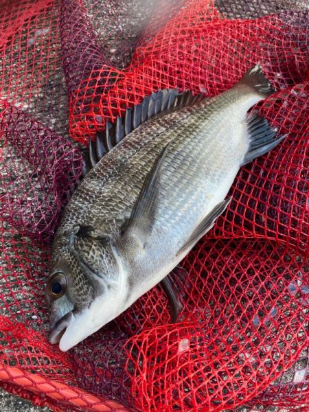
# キビレ
# クロダイ
# チヌ
# ヘチ釣り
# 大阪南港
# 大阪市
# 大阪府
# 宇崎日新
# 関西
釣行日
2023/09/18
時間
朝
天気
晴れ
気温
やや暑い
潮
中潮
釣果
チヌ 3匹
キビレ 7匹
タックル
ロッド マイクロヘチ
リール インヴィクタクロダイ MBリミテッド85
道糸 ナイロン2号
ハリス フロロ1.5号
釣り方
ヘチ釣り


















