※現地に釣り禁止の看板のある場所や、釣り禁止エリアでの釣行、路上駐車・ゴミ放置などの迷惑行為はお控え下さい。
※釣行の際は、必ずライフジャケットを着用下さい。
氷室京介
Loading...
いいねしたユーザー(件)
# COREMAN
# DAIWA
# DUEL
# majorcraft
# エヌワン
# カルディア
# キビレ
# コアマン
# ダイワ
# チニング
# デュエル
# ハードコアX8
# メジャークラフト
# ラテオ
# ルアー釣り
# ワンシャッド
# 大阪市
# 大阪府
# 関西
釣行日
2023/09/01
時間
夜
天気
晴れ
気温
暑い
潮
中潮
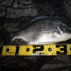
釣果
*キビレ(38cm~42cm)2匹
タックル
ロッド:ダイワ ラテオ90ML
リール:ダイワ 21カルディア LT4000-CXH
リールスタンド:21TYPE-R仕様ライトゴールドカラー
ハンドルノブ:TYPE-R EVOLUTIONノブ(ライトゴールドカラー)
ハンドル:SLP WORKS RCS マシンカットライトハンドル
スプール:SLPW LT TYPE-αスプール
ライン:DUEL HARDCORE X4 PRO(PE0.8号)
リーダー:シーガー フロロカーボン12ポンド
ルアー:メジャークラフト ONE SHAD 14g
:3インチのグラブ
ジグヘッド:コアマン アルカリダートヘッド10g
ランディングアーム:メジャークラフト MCLA/BL
釣り方
ルアー


















