※現地に釣り禁止の看板のある場所や、釣り禁止エリアでの釣行、路上駐車・ゴミ放置などの迷惑行為はお控え下さい。
※釣行の際は、必ずライフジャケットを着用下さい。
イトウを釣りたい
Loading...
いいねしたユーザー(件)
釣行日
2021/07/10
時間
夜
天気
晴れ
気温
やや暑い
潮
大潮
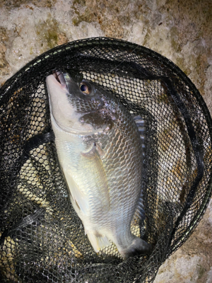
釣果
キビレ 40㎝前後 10匹
ボラ 1匹
タックル
ワールドシャウラ 2752R
ステラ C3000XG
キロフック
シンカー7g
シンカーストッパー
リトルスパイダー
ドライブホッグ
テールスライダー
釣り方
フリーリグ






















