寿丸
2021年1月23日釣果情報
※2021年1月23日釣果情報 山崎さん ヒラス88㎝(6,10㎏)、ブリ75㎝(4,20㎏)を、ショアジギングで釣られたそうです。その他、ブリ(8㎏、6㎏級)取り込まれてストリンガー(スプリングタイプ)に吊るしてたら、逃げられたとの事です、勿体なかったですね、以前にも、良型魚【真鯛70㎝超え・石鯛55㎝超え】スプリング式のストリンガー吊るしてたら、逃げられたお客様いました。大物魚は、スプリング式のストリンガーは控えた方が良いのかも知れませんね写真撮影はしてませんが、フカセ釣りでも、クチブトクロ38㎝~35㎝級も釣られたそうです。ヒラス88㎝、ブリ75㎝、逃げて行ったブリ2本、お見事でした。
八木さん 真鯛54,5㎝、クチブトクロ42㎝、38㎝、36㎝~34㎝、オナガクロ38㎝を、フカセ釣りで釣られたそうです。その他、オナガクロ30㎝級も釣られたそうですが、リリースされたそうです。真鯛54,5㎝、クチブトクロ42㎝、お見事でした。釣られたお魚【クチブトクロ、オナガクロ】お裾分け頂きました、ありがとうございました。
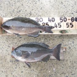
堤さん クチブトクロ43㎝、41㎝、38㎝~35㎝を、フカセ釣りで釣られたそうです。その他、オナガクロ30㎝級も釣られたそうですが、リリースされたそうです。クチブトクロ43㎝、41㎝、お見事でした。釣られたお魚【クチブトクロ】頂きました、ありがとうございました。
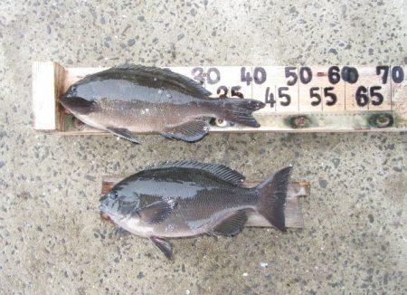
濵﨑さん クチブトクロ40㎝、38㎝、35㎝3枚を、フカセ釣りで釣られたそうです。その他、オナガクロ30㎝級も釣られたそうですが、リリースされたそうです。クチブトクロ40㎝、お見事でした。
写真撮影は、ご遠慮しますとの事でしたので、コメントだけ記載します。 フカセ釣りの複数お客様で、クチブトクロ41㎝、40㎝、38㎝級、36㎝~33㎝を、釣られてました。クチブトクロ41㎝、40㎝【磯瀬で鱗、内臓取り除かれてたとの事でした】、お見事でした。 その他の磯瀬では、フカセ釣りのお客様は、チヌ43㎝、真鯛45㎝、40㎝~35㎝級、クチブトクロ36㎝、35㎝、33㎝、オナガクロ30㎝~足裏サイズを、釣られてました。小ぶりの魚はリリースされたそうです。 フカセ釣りのお客様で、良型オナガクロ・クチブトクロ【40㎝~45㎝級】複数回ヒットしたそうなのですが、残念ながらバラシ【チモト切れ・瀬ズレ】たそうです。次回、リベンジ、頑張られてください。 フカセ釣りのお客様(クロ仕掛けタックル)で、真鯛【真鯛75㎝超え~】ヒットしたそうなのですが、残念ながらバラシ【ライン高切れ】たそうです。次回、リベンジ、頑張られてください。 ※お裾分け頂いたお魚、後日、炙り刺身【クチブトクロ、オナガクロ】にして釣行されたお客様、お土産にお渡ししょうと思います。 日中、雨降りの中、正午過ぎ、最終まで皆さんお疲れ様でした。
#九州 #長崎 #西海市 #長崎市 #樺島周辺 #フカセ釣り #ショアジギング #グレ #メジナ #クロダイ #チヌ #ヒラマサ #マダイ #ブリ






















