※現地に釣り禁止の看板のある場所や、釣り禁止エリアでの釣行、路上駐車・ゴミ放置などの迷惑行為はお控え下さい。
※釣行の際は、必ずライフジャケットを着用下さい。
氷室京介
Loading...
いいねしたユーザー(件)
釣行日
2020/5/22
時間
夜
天気
曇り
気温
やや暑い
潮
大潮
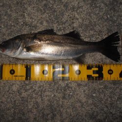
釣果
シーバス(35cm~47cm)4匹
タックル
ロッド:メジャークラフト KGS-862SC
リール:ダイワ 17X ファイア2508PE-H
リールスタンド:18TYPE-R仕様ブルーカラー
ハンドルノブ:TYPE-R EVOLUTIONノブ(ブルーカラー)
ライン:デュエル HARDCORE® X8(PE0.8号)
リーダー:サンライン シューター FC スナイパー16ポンド
ルアー:ワーム…
メジャー:第一精工 ノギスケール125
釣り方
ルアー






















