寿丸
2020年4月6日釣果情報
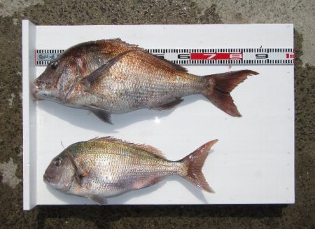
※2020年4月6日釣果情報 但馬さん 大判真鯛88㎝(9,15㎏)、70㎝(4,55㎏)を、フカセ釣りで釣られたそうです。今回釣られた、大判真鯛、自己ベスト更新されたそうです、おめでとうございます。※タックルは、4号竿・ライン&ハリス6号・真鯛針11号で釣られたそうです。真鯛狙いでの大判真鯛良型88㎝(9,15㎏)、良型70㎝(4,55㎏)、天晴です、お見事でした。
フカセ釣りの複数お客様で、真鯛【65㎝~75㎝級】複数回ヒットしたそうなのですが、バラシ【真鯛仕掛け・瀬ズレ】【クロ仕掛け・高切れ】たそうです。次回、リベンジ、頑張られてください。 その他の磯瀬では、フカセ釣りのお客様は、オナガクロ足裏サイズ、チヌ45㎝~40㎝級を、あちらこちらで釣られてました。
正午前から、正午過ぎまで、やや強風【北北東風】風波が、やや高く、東側磯瀬は、やや厳しい状況でした、正午過ぎ、最終まで皆さんお疲れ様でした。
















