寿丸
2020年3月20日釣果情報
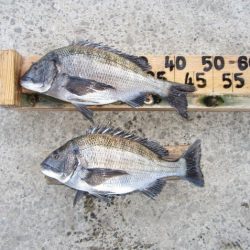
※2020年3月20日釣果情報 鬼塚さん 真鯛51㎝、チヌ46,5㎝、43㎝を、フカセ釣りで釣られたそうです。釣られたお魚【真鯛、チヌ】頂きました、ありがとうございました。真鯛51㎝、チヌ46,5㎝、43㎝、お見事でした。 脇山さん 石鯛50㎝(2,10㎏)を、底物(石鯛)仕掛けで釣られたそうです。石鯛50㎝、お見事でした。 フカセ釣りの複数お客様で、真鯛【65㎝~75㎝級】複数回ヒットしたそうなのですが、バラシ【真鯛仕掛け・高切れ・瀬ズレ】たそうです。次回、リベンジ、頑張られてください。 その他の磯瀬では、フカセ釣りのお客様は、チヌ50㎝~40㎝級を、釣られたそうですが、殆どチヌはリリースされたそうです。 やや強風【北西風】うねり波が、高い(貝瀬近辺)中、正午過ぎ、最終まで皆さんお疲れ様でした。




















