寿丸
2020年3月3日釣果情報
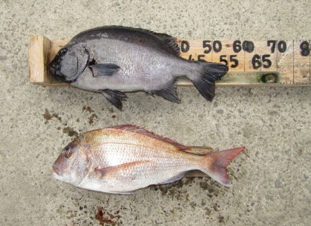
※2020年3月3日釣果情報 川口さん 真鯛62,5㎝(2,80㎏)、石鯛55,5㎝(3,25㎏)を、フカセ釣りで釣られたそうです。真鯛狙いでの真鯛62,5㎝も、さる事ながら、良型銀ワサ55,5㎝(3,25㎏)天晴れです、お見事でした。
フカセ釣りのお客様で、真鯛【65㎝~70㎝級】ヒットしたそうなのですが、バラシ【クロ仕掛け・高切れ】たそうです。次回、リベンジ、頑張られてください。 その他の磯瀬では、フカセ釣りのお客様は、チヌ45㎝~40㎝級、平鯛、小鯛を、釣られたそうです。小ぶりの魚は、リリースされてました。 朝方から正午過ぎまで強風【北東風】風波が、高く、東側磯瀬は厳しい状況でした、正午過ぎ、最終まで皆さんお疲れ様でした。


















