※現地に釣り禁止の看板のある場所や、釣り禁止エリアでの釣行、路上駐車・ゴミ放置などの迷惑行為はお控え下さい。
※釣行の際は、必ずライフジャケットを着用下さい。
ともにぃ
Loading...
いいねしたユーザー(件)
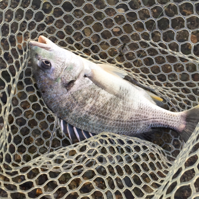
釣行日
2020/02/01
時間
朝
天気
晴れ
気温
寒い
潮
小潮
釣果
キビレ 1枚 40cm以上
タックル
ヤマガブランクス ブルーカレント ストリームスペシャル 77/TZ NANO
シマノ 16ヴァンキッシュ C2500XGS
アーマードF+ pro 150m 0.6号
クレハ フロロマイスター 12lb
釣り方
テキサスリグ




















