寿丸
2019年2月24日釣果情報
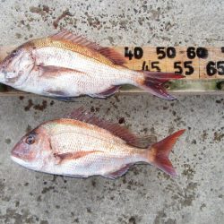
※2019年2月24日釣果情報 山下さん 真鯛62㎝(3,10㎏)を、フカセ釣りで釣られたそうです。真鯛良型62㎝、お見事でした。 魚紳さん 真鯛56㎝(2,18㎏)、51,5㎝(1,70㎏)を、フカセ釣りで釣られたそうです。真鯛狙いでの真鯛56㎝、51,5㎝、お見事でした。
大久保さん クチブトクロ40㎝(1,13㎏)を、フカセ釣りで釣られたそうです。クチブトクロ良型40㎝、お見事でした。
その他の磯瀬では、フカセ釣りのお客様は、真鯛40㎝級、小鯛、チヌ45㎝~40㎝、平鯛(45㎝~40㎝級)、クチブトクロ35㎝、33㎝、30㎝を釣られたそうです。 フカセ釣りのお客様で、あちらこちらで、真鯛【恐らく60㎝~65㎝級・70㎝超え~】数回ヒットしたそうなのですが、高切れ、瀬ズレで、残念ながらバラシたそうです。次回、リベンジ、頑張られてください。 朝方から夕方まで、やや強風【北東風】風波が、やや高い中、正午過ぎ、最終まで皆さんお疲れ様でした。




















