寿丸
2019年2月23日釣果情報
※2019年2月23日釣果情報 中尾さん 【G】ポイント瀬で、真鯛62,5㎝(3,30㎏)を、フカセ釣りで釣られたそうです。真鯛狙いでの真鯛62,5㎝、お見事でした。 松井さん クチブトクロ47㎝(1,60㎏)、チヌ42,5㎝を、フカセ釣りで釣られたそうです。その他、平鯛43㎝も釣られてました。釣られたお魚(平鯛)頂きました、ありがとうございました。クチブトクロ47㎝、チヌ42,5㎝、平鯛43㎝、お見事でした。
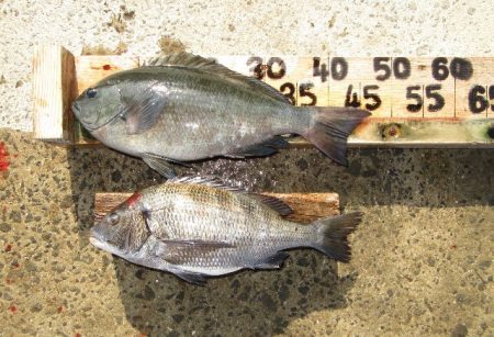
早瀬さん 【C】ポイント瀬で、クチブトクロ43㎝、36㎝、チヌ48㎝、45㎝を、フカセ釣りで釣られたそうです。釣られたお魚(クチブトクロ、チヌ)頂きました、ありがとうございました。クチブトクロ43㎝、チヌ48㎝、45㎝、お見事でした。
本村さん 真鯛43㎝、40㎝、小鯛、チヌ48,5㎝、クチブトクロ34,5㎝を、フカセ釣りで釣られたそうです。真鯛43㎝、40㎝、チヌ48,5㎝、、お見事でした。
その他の磯瀬では、フカセ釣りのお客様は、クチブトクロ38㎝、35㎝、33㎝、30㎝、真鯛50㎝【写真はご遠慮しますとの事で撮影出来ませんでした】、40㎝級、チヌ45㎝~40㎝級、平鯛(45㎝~40㎝級)を、釣られたそうです。 フカセ釣りのお客様で、あちらこちらで、真鯛【恐らく60㎝~65㎝級】数回ヒットしたそうなのですが、高切れ、瀬ズレで、残念ながらバラシたそうです。次回、リベンジ、頑張られてください。 正午前から夕方まで、強風【北東風】風波が、高い中、正午過ぎ、最終まで皆さんお疲れ様でした。






















