ヒロ
風もなく、穏やかな天候で快適でした。
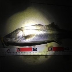
シーバスのバイト多数ですが、1匹しかゲットできず…。でも何故かエイは見事に2匹ゲットできました(≧∀≦)
※現地に釣り禁止の看板のある場所や、釣り禁止エリアでの釣行、路上駐車・ゴミ放置などの迷惑行為はお控え下さい。
※釣行の際は、必ずライフジャケットを着用下さい。
2018/05/27
夜
晴れ
快適