寿丸
2018年2月2日 釣果情報
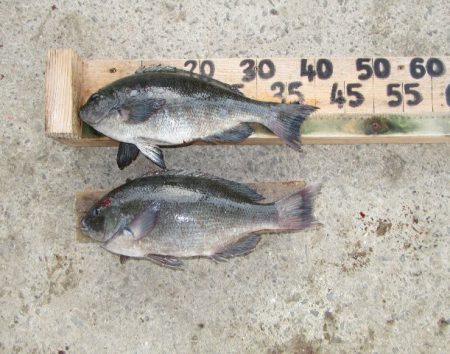
※2018年2月2日釣果情報 RIKIさん 【X】ポイント瀬で、真鯛47,5㎝、41㎝、小鯛、クチブトクロ41,5㎝、40㎝、37㎝、36,5㎝を、フカセ釣りで釣られたそうです。 真鯛47,5㎝、41㎝、クチブトクロ良型41,5㎝、良型40㎝、お見事でした。 竹國さん 【Y】ポイント瀬で、クチブトクロ42,5㎝、40㎝2枚、32㎝、31㎝を、フカセ釣りで釣られたそうです。 クチブトクロ良型42,5㎝頭に40㎝超え良型3枚、お見事でした。 山口さん 【U】ポイント瀬で、クチブトクロ41㎝2枚を、フカセ釣りで釣られたそうです。その他、33㎝級も釣られてました。 クチブトクロ良型41㎝2枚、お見事でした。 木山さん 【P】ポイント瀬で、クチブトクロ41,5㎝、40㎝、30㎝、を、フカセ釣りで釣られたそうです。 クチブトクロ41,5㎝、良型40㎝、お見事でした。 堤さん 【W】ポイント瀬で、クチブトクロ40㎝頭に、37㎝~35㎝を25枚~30枚、フカセ釣りで釣られたそうです。釣られた魚、沢山お裾分け頂きました、ありがとうございました。 クチブトクロ良型40㎝、数釣り、お見事でした。 その他の磯瀬では、フカセ釣りのお客様は、小鯛、クチブトクロ39㎝、38㎝、36㎝~34㎝級を釣られたそうです。尚、良型クチブトクロ【40㎝超え・・・】数回ヒットしたそうなのですが、すっぽ抜け、ライン瀬ズレで残念ながらバラシたそうです。次回、リベンジ、頑張られてください 正午過ぎ、最終まで皆さんお疲れ様でした。






















