第一進丸
02/18 釣果
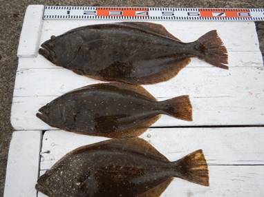
本日もヒラメに出船、2船の釣果。
大板2枚上がる、71cm、4.5kg、69cm、4.1kg 。
肩肉の盛り上がった幅広の特肉厚東京ドーム型。
0.5~4.5kg、0~6枚 、
オデコのお客様は船酔い、
他カサゴ、アイナメも釣り上がる。
明日はヒラメに出船。
シケ後の影響も無く、潮色も良く、潮温も13℃台と高く、
良い状況です。
雨は夜中までで、朝方から日中は晴れる予報です。
風は北絡みでやや強い予報ですが、
陸上からの風となり、船の流れも適当で
ヒラメ釣りに丁度良く、
ご予約少なく、ご予約をお待ち申し上げております。
* ここ何日かの出船で、
タックル(竿、リール)の落水が多く発生しております 。
その都度、他船の船長に回収して頂いたり、
同乗のお客様に、釣り上げて頂いたりと
運良く、無事にお客様の手元に戻っておりますが
実際はほとんどの場合、回収はできません。
ご自分の大事なタックルには、尻手ロープを取り付けて
安心して釣りのできる状態で、ご乗船ください。
<進丸ニュース>
・『席取順番札 』を設置いたしました。(夜間、席取りの安全確保のため)
・指先、じんわり あったか~い ” 指暖” ヒラメ釣り!
・探していますⅡ!両軸リール・中通し竿・竿掛け!
・お誕生日割引きが更にお得に!!
・クーラーは30 ℓ を中心に35 ℓ まで
・安全、快適に、ミヨシに肘掛け付椅子を設置
・ルアーファンのお客様へ朗報!
・・・ 詳しくはこちらへ
ご自身の安全の為に、乗船時には、
命を守るアイテムのライフジャケットを必ず着用しましょう
自動膨張式ライフジャケットは
ボンベの点検(期限)を忘れずに、必ずチェックしてください。


























