第一進丸
02/12 釣果
1号船、2号船ともにヒラメに出船。
<1号船>
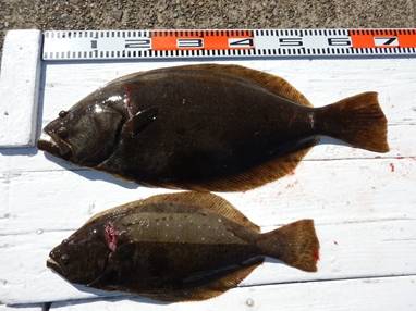
大板、大板絡みで4枚上がる。
76cm、6.1kg、を頭に、66cm、66cm、65cm 。
肩肉の盛り上がった幅広の特肉厚東京ドーム型が
揃って釣り上がりました。
0.5~6.1kg、0~4枚、トップ4枚が2人 、
次3枚が3人、、、 ソゲ少なく、1.5kg~2kg台が多数。
オデコのお客様お1人残ってしまい残念。
他、ルアーのお客様も2枚上げられました。
<2号船>
仕立て船にて出船。
0.5~3.6kg、0~2枚 。
2枚多数、オデコは消えず残念。
半数近く貸し竿のお客様でしたが、
肉厚の大型も上がり、
皆さん冬のヒラメ釣りをお楽しみいただきました。
おもてなし、として船宿から、船長賞、竿をプレゼント させて
いただきました。
明日もヒラメに出船。
強風も治まり、海況回復、良い状況が続いております、
空きがたくさんありますので、ご予約お待ち申し上げております。
<進丸ニュース>
・『席取順番札 』を設置いたしました。(夜間、席取りの安全確保のため)
・指先、じんわり あったか~い ” 指暖” ヒラメ釣り!
・探していますⅡ!両軸リール・中通し竿・竿掛け!
・お誕生日割引きが更にお得に!!
・クーラーは30 ℓ を中心に35 ℓ まで
・安全、快適に、ミヨシに肘掛け付椅子を設置
・ルアーファンのお客様へ朗報!
・・・ 詳しくはこちらへ
ご自身の安全の為に、乗船時には、
命を守るアイテムのライフジャケットを必ず着用しましょう
自動膨張式ライフジャケットは
ボンベの点検(期限)を忘れずに、必ずチェックしてください。




































