寿丸
2022年2月9日釣果情報
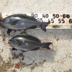
前田さん クチブトクロ45㎝(1,45㎏)、良型38㎝(1,00㎏)を、フカセ釣りで釣られたそうです。
釣られた魚(クチブトクロ1枚)お裾分け頂きました、ありがとうございました。
クチブトクロ良型45㎝、お見事でした。
永尾さん クチブトクロ42㎝(1,35㎏)を、フカセ釣りで釣られたそうです。
その他、真鯛50㎝~45㎝級も釣られてましたが、鱗剥がされて下処理終えられて、クーラーに仕舞われてたので、写真撮影はしませんでした。
クチブトクロ良型42㎝、真鯛50㎝級、お見事でした。
フカセ釣りのお客様で、クチブトクロ40㎝超え2枚、釣られたそうですが、活かしてたスカリのロープが波に揉まれ切れてたそうです、気が付いた時には、スカリ流されて無かったそうです。
その他の磯瀬では、フカセ釣りのお客様は、チヌ45㎝~40㎝、クチブトクロ良型36㎝(0,90㎏)、30㎝を、釣られてました。小ぶりの魚はリリースされたそうです。
フカセ釣りの複数(3名様)お客様で、クチブトクロ【40㎝~45㎝級】・真鯛【60㎝~70㎝】複数回ヒットしたそうなのですが、残念ながらバラシ【スッポ抜け・瀬ズレ・高切れ】たそうです。次回、リベンジ、頑張られてください。
午前中強風【北東風】風波が高くて、東側磯瀬全般【12番瀬・18番瀬沖側・除き】、厳しい状況でした。
東側磯瀬、風波が、高い中、正午過ぎ、最終まで皆さんお疲れ様でした。
















