寿丸
2020年12月23日釣果情報
※2020年12月23日釣果情報 下釜さん 真鯛44,5㎝、クチブトクロ37,5㎝、36㎝、35㎝~32㎝、オナガクロ32㎝を、フカセ釣りで釣られたそうです。その他、クチブトクロ33㎝~30㎝、オナガクロ足裏サイズも沢山釣られたそうですが、リリースされたそうです。ご家族食べられる分だけ持ち帰えられたそうです。真鯛44,5㎝、お見事でした。
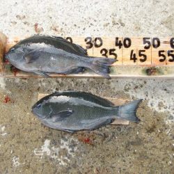
冨永さん クチブトクロ40㎝、36㎝、34㎝を、フカセ釣りで釣られたそうです。その他、クチブトクロ30㎝、オナガクロ足裏サイズも釣られたそうです。クチブトクロ40㎝、お見事でした。
浦田さん クチブトクロ38,5㎝、38㎝を、フカセ釣りで釣られたそうです。その他、クチブトクロ30㎝、オナガクロ足裏サイズも釣られたそうです。
その他の磯瀬では、フカセ釣りのお客様は、クチブトクロ38,5㎝、37㎝、35㎝、33㎝、30㎝、オナガクロ33㎝、30㎝~足裏サイズを、釣られてました。小ぶりの魚はリリースされたそうです。 フカセ釣りのお客様で、複数磯瀬で良型オナガクロ・クチブトクロ【40㎝~45㎝級】複数回ヒットしたそうなのですが、残念ながらバラシ【すっぽ抜け・瀬ズレ・チモト切れ】たそうです。次回、リベンジ、頑張られてください。 正午過ぎまで皆さんお疲れ様でした。


















