船基本情報
| 船名 | 第一進丸 |
|---|---|
| 都道府県 | 千葉 |
| 場所 | 飯岡港 Google Map |
| ホームページ | http://shinmaru01.com/ |
| ブログ | http://1sinmaru.blog109.fc2.com/ |
| 電話番号 | 0479-57-6668 |
| ジャンル | エサ |
第一進丸
Loading...
いいねしたユーザー(件)
釣行日
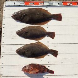
2020-12-18
時間
日中
天気
晴れ
気温
--
潮
中潮
釣果
カサゴ(ガシラ),イナダ(ハマチ),ヒラメ
釣り方
ジギング,泳がせ・のませ


























