第一進丸
10/28釣果
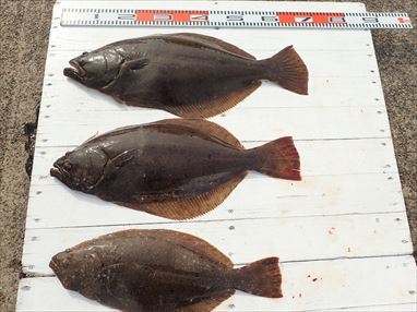
本日も飯岡港より1号船、2号船共にヒラメ釣りに出船。
<1号船>
0.4~3.4kg、1~13枚。次10枚、9枚、7枚、5枚、
1枚のお客様以外は3枚以上で、ソゲも肉厚のお刺身に十分なヒラメが
数揃って釣り上がりました。
他、真カサゴも上がる。
<2号船>
大板絡み上がる、3.8kg。
0.4~3.8kg、1~5枚、オデコ無し
全員、ヒラメ釣り初めてのお客様でしたが、オデコ無く、良大型
混じりで、ニコニコ笑顔でお帰りいただけました。
他、イナダ
明日もヒラメ釣りに出船。
ご予約少なく、空きがたくさんありますので、
ご予約をお待ち申し上げております。




































