寿丸
2020年4月3日釣果情報
※2020年4月3日釣果情報 吉田さん 大判石鯛65㎝(5,10㎏)、真鯛53,5㎝(1,90㎏)を、フカセ釣りで釣られたそうです。その他、チヌ45㎝級も釣られたそうですが、リリースされたそうです。フカセ釣りで、大判本ワサ良型65㎝、天晴れです、真鯛53,5㎝、お見事でした。
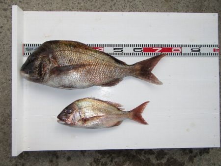
大町さん 真鯛73㎝(5,35㎏)、49㎝(1,35㎏)を、フカセ釣りで釣られたそうです。その他、チヌ45㎝級も釣られたそうですが、リリースされたそうです。真鯛狙いでの良型真鯛73㎝、49㎝、お見事でした。
フカセ釣りの複数お客様で、真鯛【70㎝~80㎝級】複数回ヒットしたそうなのですが、バラシ【真鯛仕掛け・スッポ抜け】【クロ仕掛け・高切れ・瀬ズレ】たそうです。次回、リベンジ、頑張られてください。
その他の磯瀬では、フカセ釣りのお客様は、チヌ45㎝~40㎝級を、あちらこちらで釣られてました。 正午過ぎ、最終まで皆さんお疲れ様でした。
















