寿丸
2019年3月25日釣果情報
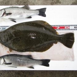
※2019年3月25日釣果情報 但馬さん 座布団ヒラメ86㎝(7,50㎏)、ヒラスズキ60㎝、57㎝を、フカセ釣りで、釣られたそうです。座布団ヒラメ80㎝超え久しぶりに、拝見しました、天晴です座布団ヒラメ86㎝、ヒラスズキ60㎝、57㎝、お見事でした。
山下さん 真鯛良型71㎝(4,35㎏)、良型69㎝(4,20㎏)、ヒラスズキ60㎝(2,23㎏)、53㎝、52㎝、49㎝、44㎝、42㎝、マルスズキ69㎝、アコウ(キジハタ)41㎝を、ショアジギングで釣られたそうです。真鯛良型71㎝、良型69㎝、マルスズキ69㎝、ヒラスズキ60㎝頭に合計7枚、アコウ41㎝、お見事でした。
熊﨑さん クチブトクロ良型42㎝(1,40㎏)、チヌ43㎝を、フカセ釣りで釣られたそうです。クチブトクロ良型42㎝、チヌ43㎝、お見事でした。
その他の磯瀬では、フカセ釣りのお客様は、クチブトクロ良型39㎝、良型38㎝、良型36㎝、33㎝、30㎝、チヌ良型45㎝~40㎝を、釣られたそうです。 フカセ釣りのお客様で、良型クチブトクロ【40㎝~45㎝級】数回ヒットしたそうなのですが、瀬ズレで、残念ながらバラシたそうです。次回、リベンジ、頑張られてください。 フカセ釣りのお客様で、真鯛【恐らく55㎝~60㎝級】ヒットしたそうなのですが、瀬ズレで、残念ながらバラシたそうです。次回、リベンジ、頑張られてください。 正午過ぎから、雨が降る中、正午過ぎ、最終まで皆さんお疲れ様でした。
#九州 #長崎 #西海市 #長崎市 #樺島周辺 #フカセ釣り #ショアジギング #グレ #メジナ #マダイ #ツバス #ワカシ


















