寿丸
2019年3月3日釣果情報
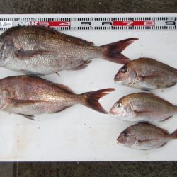
※2019年3月3日釣果情報 MATSUKIさん 真鯛74㎝(5,20㎏)、62,5㎝(2,75㎏)、48㎝、46㎝、39㎝を、フカセ釣りで釣られたそうです。真鯛狙いでの真鯛、良型74㎝頭に5枚、お見事でした。
松本さん クチブトクロ46㎝(1,55㎏)、40㎝、38㎝、真鯛44㎝、チヌ48㎝、良型44㎝、良型41㎝、オナガクロ36㎝、カワハギを、フカセ釣りで釣られたそうです。クチブトクロ良型46㎝、良型40㎝、チヌ48㎝頭に3枚、真鯛44㎝、お見事でした。
その他の磯瀬では、フカセ釣りのお客様は、クチブトクロ35㎝、33㎝、30㎝、真鯛40㎝級、小鯛、チヌ45㎝~40㎝級、平鯛45㎝~40㎝級を、釣られたそうです。 クチブトクロ【40㎝~45㎝級】数回ヒットしたそうなのですが、すっぽ抜け、瀬ズレで、残念ながらバラシたそうです。次回、リベンジ、頑張られてください。 雨が降る中、正午過ぎ、最終まで皆さんお疲れ様でした。
















