寿丸
2019年2月8日釣果情報
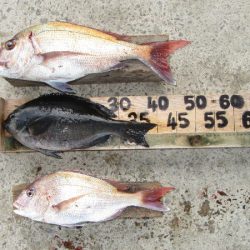
尾崎さん クチブトクロ43,5㎝、40㎝、34㎝、オナガクロ37㎝を、フカセ釣りで釣られたそうです。その他、クチブトクロ30㎝~足裏サイズも釣られたそうですが、リリースされたそうです。クチブトクロ43,5㎝、40㎝、お見事でした。 柴原さん 真鯛51㎝(1,45㎏)、40㎝、クチブトクロ40㎝(1,22㎏)を、フカセ釣りで釣られたそうです。その他、良型チヌ、平鯛も釣られたそうです、小鯛も沢山釣られたそうですが、ほとんどリリースされたそうです。真鯛51㎝(1,45㎏)、40㎝、クチブトクロ良型40㎝、お見事でした。 その他の磯瀬では、フカセ釣りのお客様は、小鯛、チヌ(45㎝~40㎝)、クチブトクロ38㎝、35㎝、33㎝、30㎝、オナガクロ足裏、手の平サイズを釣られたそうです。尚、足裏、手の平サイズは、リリースされたそうです。 フカセ釣りのお客様で、あちらこちらで、良型クチブトクロ【40㎝~45㎝超え・・】数回ヒットしたそうなのですが、瀬ズレ、すっぽ抜けで、残念ながらバラシたそうです。次回、リベンジ、頑張られてください。 最終まで皆さんお疲れ様でした。
















