寿丸
※2018年6月24日釣果情報
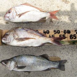
松尾さん 【T】ポイント瀬で、真鯛60㎝(2,45㎏)、52㎝(1,60㎏)、ヒラスズキ60㎝(2,35㎏)を、ショアジギングで釣られたそうです。 真鯛60㎝、52㎝、ヒラスズキ60㎝、お見事でした。
その他の磯瀬では、フカセ釣りのお客様は、クチブトクロ37㎝、35㎝、オナガクロ30㎝、足裏、手の平サイズを釣られたそうです。尚、足裏、手の平サイズは、皆さん沢山釣られたそうですがリリースされたそうです。
風【北東風南西風】は弱風でしたが、今日もうねり波がかなり高く、釣行するには、厳しい状況でした。 梅雨の晴れ間の暑い中、正午、正午過ぎ、最終まで皆さんお疲れ様でした。














