寿丸
2018年3月11日 釣果情報
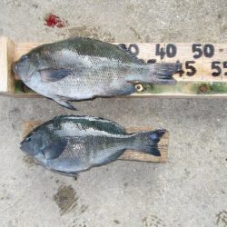
※2018年3月11日釣果情報 RIKIさん 真鯛44㎝、41,5㎝、39㎝、クチブトクロ41,5㎝、39㎝、38㎝、35㎝、33㎝を、フカセ釣りで釣られたそうです。 真鯛44㎝、41,5㎝、クチブトクロ良型41,5㎝、お見事でした。 松本さん クチブトクロ45㎝(1,70㎏)、38㎝を、フカセ釣りで釣られたそうです。 クチブトクロ良型45㎝、お見事でした。 添田さん クチブトクロ41,5㎝、39㎝、36㎝を、フカセ釣りで釣られたそうです。 クチブトクロ良型41,5㎝、良型39㎝、お見事でした。 その他の磯瀬では、フカセ釣りのお客様は、チヌ45㎝~50㎝級、クチブトクロ37㎝~34㎝、30㎝、小鯛を釣られたそうです。 良型クチブトクロ【40㎝超え~45㎝級・・・】数回ヒットしたそうなのですが、すっぽ抜け、ライン瀬ズレで残念ながらバラシたそうです。次回、リベンジ、頑張られてください。 正午過ぎ、最終まで皆さんお疲れ様でした。




















