寿丸
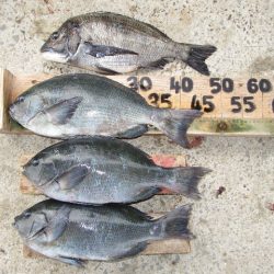
※2018年1月4日釣果情報 泉田さん 【K】ポイント瀬で、クチブトクロ46㎝、43,5㎝、43㎝、チヌ46,5㎝を、フカセ釣りで釣られたそうです。 クチブトクロ46㎝頭に40㎝超え3枚、チヌ46,5㎝、お見事でした。
大我さん 【K】ポイント瀬で、真鯛53㎝、クチブトクロ41㎝を、フカセ釣りで釣られたそうです。その他、小鯛も釣られてました。 真鯛53㎝、クチブトクロ41㎝、お見事でした。 ※本日、最終回収後に最終更新致します。
















