富士丸
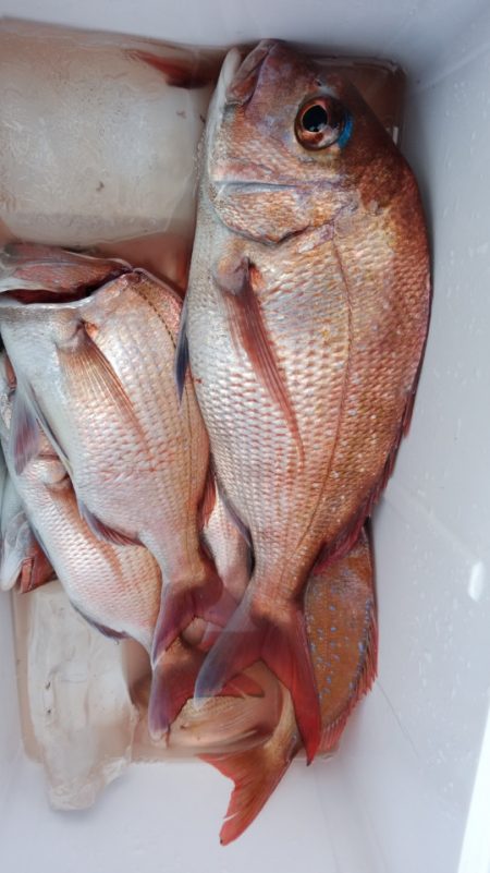
10月18日 午前船の真鯛釣果
中鯛出現
1㎏先も出ました
真鯛
0~9枚 0・3~2・3㎏
カサゴ、はた、ハナダイ
今日も風・・船酔いダウンの方が 出てしまいました
岡田さん 2・3㎏
硲さん 1・3㎏
大川さん 竿頭の9枚でした
明日は
予報次第の出船です。
お知らせです
※毎年恒例の 沖釣りフェスタと11月の港の休みですが
11月1日、2日
お休みデス。
11月3日 沖釣りフェスタ
午前船、真鯛で参加募集
11月4日 沖釣りフェスタ
午前船、ヒラメで参加募集
11月5日
午前船、午後船は真鯛大募集
11月6~8日まで 港の休みです
沖釣りフェスタ 大募集ですので よろしくお願いします




















