第一進丸
10/05 釣果
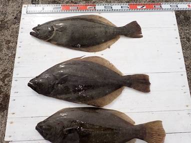
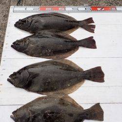
本日もヒラメに出船。
64cm、3.5kg、幅広肉厚の大型 を頭に、
3kg以上が4枚、2kg以上が10枚を超えて
0~12枚、オデコ1人。
トップ12枚、次9枚が2人、8枚が2人、、、
船中112枚 と、皆さん良大型を含めて数釣り上がり、
ソゲが2/3で、40枚近くが1kg以上の良大型が
揃って釣り上がりました 。
ルアーのお客様も2.5kgを含めて4枚釣られ、
他、イナダ30尾以上、78cmスズキ、カサゴ、
ニベ、マゴチと6種類を釣られたお客様もおられました。
明日もヒラメに出船。
潮色良く、船の流れ良く、風も適度で
空きがたくさんありますので、
ご予約をお待ち申し上げております。
明後日7日(土)は、荒れ模様の海の予報となっており、
出船が難しいと判断されます、
ご都合の付くお客様は、明日、是非おでかけください。
8日(日)は、天候も回復し、ヒラメに出船致します。
空きがたくさんありますので、
ご予約をお待ち申し上げております。
近々の大板の写真をHPのトップページ に掲示中、ぜひご覧ください
<進丸ニュース>
・ヒラメダービー参加方法をバージョンアップ!! new
・第二回旭市飯岡港初夏のヒラメ釣り大会優勝!! new
・2017年シーズンダービー1位賞品を『選べて』、さらに『パワーアップ』 !!new
・『席取順番札 』を設置いたしました。(夜間、席取りの安全確保のため)
・探していますⅡ!両軸リール・中通し竿・竿掛け!
・お誕生日割引きが更にお得に!!
・クーラーは30 ℓ を中心に35 ℓ まで
・安全、快適に、ミヨシに肘掛け付椅子を設置
・ルアーファンのお客様へ朗報!
・・・ 詳しくはこちらへ
*ライフジャケット乗船時、完全義務化 (2018年2月より)
ライフジャケットを購入して、ご自身の安全の為に、
乗船時には、命を守るアイテムを必ず着用しましょう




































