第一進丸
08/27 午後船 釣果
午後船にて、ひとつてんやに出船。
特大大鯛2尾上がる。
82cm、5.89kg。
78cm、4.55kg。
ハリス切れ、針が折れると大型のアタリも多数有り
他、ヒラメ3枚が3人、ワラサ、カサゴと
外道も大型揃い、皆さんニコニコ笑顔でお帰り頂けました。
| 船名 | 第一進丸 |
|---|---|
| 都道府県 | 千葉 |
| 場所 | 飯岡港 Google Map |
| ホームページ | http://shinmaru01.com/ |
| ブログ | http://1sinmaru.blog109.fc2.com/ |
| 電話番号 | 0479-57-6668 |
| ジャンル | エサ |
2017-08-27
--
晴れ
暑い
小潮
マダイ
テンヤ
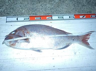
08/27 午後船 釣果
午後船にて、ひとつてんやに出船。
特大大鯛2尾上がる。
82cm、5.89kg。
78cm、4.55kg。
ハリス切れ、針が折れると大型のアタリも多数有り
他、ヒラメ3枚が3人、ワラサ、カサゴと
外道も大型揃い、皆さんニコニコ笑顔でお帰り頂けました。