第一進丸
03/25 釣果
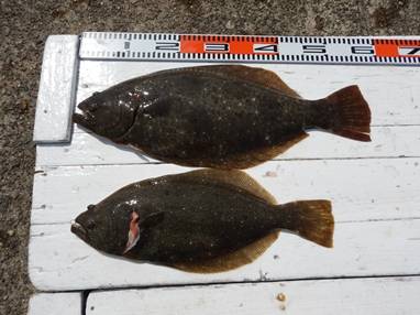
本日もヒラメに出船。
0.7~3.5kg、2~6枚 、
トップ6枚、次5枚が2人、4枚が3人、
良大型揃って、数釣れ上がり、良い模様です。
明日午前中、雨は影響無く、昼頃よりの予報ですので、
今期最後の日曜日です、ご都合のつくお客様は
是非ご乗船をお待ち申し上げております。
12:00現在 ご予約5名様
| 船名 | 第一進丸 |
|---|---|
| 都道府県 | 千葉 |
| 場所 | 飯岡港 Google Map |
| ホームページ | http://shinmaru01.com/ |
| ブログ | http://1sinmaru.blog109.fc2.com/ |
| 電話番号 | 0479-57-6668 |
| ジャンル | エサ |
2017-03-25
--
晴れ
寒い
中潮
ヒラメ
泳がせ・のませ
03/25 釣果
本日もヒラメに出船。
0.7~3.5kg、2~6枚 、
トップ6枚、次5枚が2人、4枚が3人、
良大型揃って、数釣れ上がり、良い模様です。
明日午前中、雨は影響無く、昼頃よりの予報ですので、
今期最後の日曜日です、ご都合のつくお客様は
是非ご乗船をお待ち申し上げております。
12:00現在 ご予約5名様