第二龍勢丸
今日は・・
2017-03-19 21:06:59
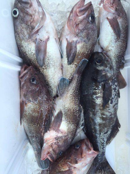
3月19日 日曜日 今年初めてのちょいディープへ行っておりました 貸切のお客様の都合で、13時半沖上がり 短時間で頑張って頂きました^o^ タヌキも40〜50cmけっこう多くて良かったですよ
沖メもサイズ良く
アラもゲストで登場 まだ小さいですが 65cm前後を 「初めてアラ釣りました」 顔写真OKにて 氷で魚が見えないクーラーもありましたが、魚が見えるクーラーだけを
釣果は タヌキ 54匹 ユメカサゴ 26匹 アラ 2匹 沖メバル 4匹 メダイ 4 匹 ?の魚2匹 ちょいディープだけの短時間釣果でしたが 最後まで奮闘頂きましたY様チームの皆様 ありがとうございました






























