Hit Rush(ヒット ラッシュ)
2017/02/24(金) 釣果情報
今日はジギングメインで青物と、マダイ狙いで行ってきました。
良い感じで反応出る時もありましたが、何故か全然口を使ってくれませんでした
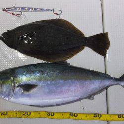
釣果は、メジロ 72cm、ヒラメ 51cmでした。
厳しい状況の中、最後まで頑張って頂き有難う御座いました。
本日はお疲れ様でした。
| 船名 | Hit Rush(ヒット ラッシュ) |
|---|---|
| 都道府県 | 大阪 |
| 場所 | 大阪府泉佐野市 食品コンビナート 北岸壁 Google Map |
| ホームページ | http://hitrush.jp/ |
| ブログ | http://hitrush.sblo.jp/ |
| 電話番号 | 090-9177-8625 |
| ジャンル | ジギング、キャスティング、タイラバ |
2017-02-24
日中
曇り
寒い
中潮
ヒラメ,ワラサ(メジロ)
ジギング
2017/02/24(金) 釣果情報
今日はジギングメインで青物と、マダイ狙いで行ってきました。
良い感じで反応出る時もありましたが、何故か全然口を使ってくれませんでした
釣果は、メジロ 72cm、ヒラメ 51cmでした。
厳しい状況の中、最後まで頑張って頂き有難う御座いました。
本日はお疲れ様でした。