石川丸
第六、第八
2017年 02月 17日 金
| 船名 | 石川丸 |
|---|---|
| 都道府県 | 愛知 |
| 場所 | 師崎港 Google Map |
| ホームページ | http://www.ishikawamaru.jp/ |
| ブログ | http://www.ishikawamaru.jp/blog/ |
| 電話番号 | 0569-63-0085 |
| ジャンル | エサ |
2017-02-17
日中
曇り
--
中潮
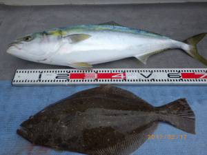
ヒラメ
泳がせ・のませ
第六、第八
2017年 02月 17日 金