第一進丸
12/21 釣果
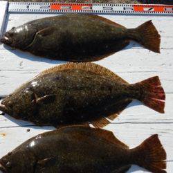
本日もヒラメに出船。
大板、大板絡みで4枚上がる、
トップ75cm、5.8kg、を頭に
次、65cm、65cm、64cm、63cm、62cm、、、 と
幅広肉厚、肩肉の盛り上がった特肉厚東京ドーム型が揃って
数釣り上がりました。
0~3枚、トップ3枚が2人、次2枚が5人、オデコは1人も
アタリバラシ多数。
0.8~5.8kg、ソゲ(0.8)は2尾のみで
他は、1.6kg~5.8kgまでが揃い、
良大型のみ数釣れ上がり、
ニコニコ笑顔でお帰り頂けました。
終日潮流れませんでしたが、潮色良く、
大型が数釣れ上がっております。
明日もヒラメに出船、
海の状況は本日と同じ、
南の風強い予報ですが 、
午後にかけて風速が増す予報ですので、
午前中の釣り時間帯は問題は無く 、
船の流れ良い状況です。
シケ前、良い釣果を狙って出船致します。
ご都合の付くお客様は、ご予約をお待ち申し上げております。
0479-57-6668






























