第一進丸
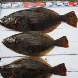
本日もヒラメに出船。
大板2枚上がる、71cm、5.8kg、66cm、5.1kg 。
いずれも肩肉の盛り上がった特肉厚東京ドーム型
次64cm、63cm、60cm、59cm、と大型数上がる 。
0~4枚、オデコ1人、ほとんどの皆さんが
良大型、特大を釣り上げられました。
風強く、釣りずらい状況でしたが、
バラシ少なく、確実に釣り上げていただけました。
0479-57-6668
| 船名 | 第一進丸 |
|---|---|
| 都道府県 | 千葉 |
| 場所 | 飯岡港 Google Map |
| ホームページ | http://shinmaru01.com/ |
| ブログ | http://1sinmaru.blog109.fc2.com/ |
| 電話番号 | 0479-57-6668 |
| ジャンル | エサ |
2016-11-08
日中
晴れ
快適
小潮
ヒラメ
泳がせ・のませ
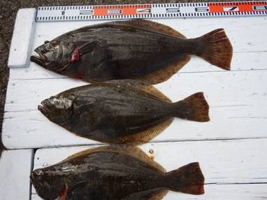
本日もヒラメに出船。
大板2枚上がる、71cm、5.8kg、66cm、5.1kg 。
いずれも肩肉の盛り上がった特肉厚東京ドーム型
次64cm、63cm、60cm、59cm、と大型数上がる 。
0~4枚、オデコ1人、ほとんどの皆さんが
良大型、特大を釣り上げられました。
風強く、釣りずらい状況でしたが、
バラシ少なく、確実に釣り上げていただけました。
0479-57-6668