KEEP CAST
8月27日
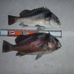
プレミア級のコショウダイ出ました~
こんな鯛が名古屋港にいますよ~
その他カサゴなどは沢山釣れました。
コショウダイだだ今チャンス到来
http://www.geocities.jp/keep_cast_k/
090-3387-4854
| 船名 | KEEP CAST |
|---|---|
| 都道府県 | 愛知 |
| 場所 | 愛知県海部郡飛島村木場1-94 Google Map |
| ホームページ | http://keepcast.boo-log.com/ |
| 電話番号 | 090-3387-4854 |
| ジャンル | シーバス、ロックフィッシュ |
2016/08/28
日中
晴れ
--
若潮
コショウダイ
8月27日
プレミア級のコショウダイ出ました~
こんな鯛が名古屋港にいますよ~
その他カサゴなどは沢山釣れました。
コショウダイだだ今チャンス到来
http://www.geocities.jp/keep_cast_k/
090-3387-4854