浜栄丸
2016.7.2
ジギング、タコ釣りで出船しました。
タコが大きくなってきたので、朝一からタコ釣り!
食べ頃サイズがいっぱい
2キロクラスの大きなタコも!
小さいのはリリースしながら、苦戦する姪っ子に分けてくれました。ありがとうございます。
遠い所から浜栄丸に通ってくれて
大きな明石鯛釣ってくれました
| 船名 | 浜栄丸 |
|---|---|
| 都道府県 | 兵庫(瀬戸内海) |
| ホームページ | http://ameblo.jp/takarajima613/ |
| ブログ | http://ameblo.jp/takarajima613/ |
| 電話番号 | 090-5067-0612 |
2016/07/02
--
--
--
中潮
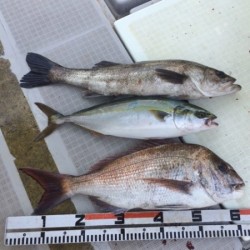
ハマチ、シーバス、タコ、マダイ
2016.7.2
ジギング、タコ釣りで出船しました。
タコが大きくなってきたので、朝一からタコ釣り!
食べ頃サイズがいっぱい
2キロクラスの大きなタコも!
小さいのはリリースしながら、苦戦する姪っ子に分けてくれました。ありがとうございます。
遠い所から浜栄丸に通ってくれて
大きな明石鯛釣ってくれました