からこと丸
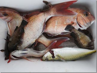
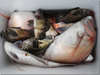
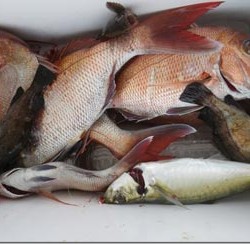
朝は潮が動かずアタリが1時間無し・・・潮が流れ出し順調に拾い釣り!! 10時ぐらいまで真鯛サビキを頑張って、船中8名63枚(^_^)v 残った時間でメバルサビキ・・・どこに行ってもイマイチ釣れず、13時に納竿としました。 そろそろメバルサビキ終わりみたいです・・・少し様子見て今期終了するかもm(__)m
http://www.karakotomaru.com/turibune.htm
090-3880-3718




































