釣り船角田(つりぶねかくた)
Loading...
いいねしたユーザー(件)
遊漁船
兵庫県 明石の釣り船 釣り船角田 明石海峡大橋を挟んで全国でも有名な釣りのポイントとして知られる播磨灘は鹿の瀬に大阪湾は沖の瀬まで明石浦港より仕立て船を出船しています
電話番号:090-5092-4819
URL:https://tsuribunekakuta.com/
電話番号:090-5092-4819
URL:https://tsuribunekakuta.com/
釣行日
2024/04/07
時間
朝
天気
曇り
気温
快適
潮
大潮
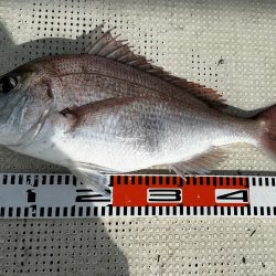
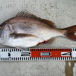
釣果
マダイ:50cm〜51cmを船中2匹
女性2名様含む10名様で鯛サビキで出船しました
マダイの釣果は0〜1匹で女性のかたお一人にスズキ90cmほどかかりましたが水面でバレました残念です。
釣り方
サビキ釣り






















