サウス

大阪湾 遊漁船SOUTH(サウス)

7/4釣果

本日は強風予報でしたが、お客様のご希望で風裏ポイント限定での勝負になる事をご了承して頂き、ノマセ釣り&大アジ狙いのプランで出船させて頂きました。

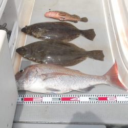
まずはノマセ釣りからスタートさせて頂き、開始早々60cmのヒラメをキャッチで幸先良いスタートになりました✨

その後続いて100cmまでのブリを2連発で釣り上げて頂く事が出来ました

その後もブリらしきヒットが続きましたが、オマツリでのPE高切れやフックアウトが続いてしまいキャッチならず

まだブリのチャンスはありそうでしたが、大アジ狙いの時間になったので大アジ狙いに変更させて頂きました。

大アジ狙いでは波高く釣りにくい中頑張って頂き、バラシ多数でしたが40cm前後の大アジを無事に全員安打して頂く事が出来ました

大アジも十分なお土産分釣って頂く事が出来たので残り時間はまたノマセ釣りに戻らせて頂きました。

後半のノマセ釣りでは前半ほどの勢いは無くなってましたが、ブリ、ヒラメを追加して頂く事が出来ました残り時間わずかになった頃知人の方からベイトに大物付いてるよと貴重な情報を頂き、残り30分勝負限定でポイント移動させて頂きました。

ラストのポイントでは残り時間少なく2流ししか出来ませんでしたが、サワラカッターで始まり、その後72cm真鯛&ハマチを追加して頂く事ができ終了とさせて頂きました。

皆様からのご予約お待ちしておりますのでお気軽にお問い合わせ下さいm(_ _)m

詳しくはホームページをご覧下さい

SOUTHホームページ

https://www.south-fishing.com/

遊漁船サウスで検索してみてください♪

#関西 #大阪 #アジ #キジハタ #アコウ #イナダ #ハマチ #ヒラメ #マダイ #ブリ #サビキ #泳がせ #のませ