Aquanaut(アクアノート)
2016年6月12日
今日の少人数チャーター3名様のご注文は、タラ&アジ&トップ!!
朝一のキャスティングは鳥山あるも、反応が無かったので、サッサとタラへ!!
タラは、サイズの良いのも混じり、全員複数本ゲットでした・・・(^^)/
今日は鯛は要らないと言う事で、トップの誘い出しポイントへ!!
此方は、短時間で、ヒラマサとメジロをゲット出来たので、
「キャスティングをヤリ切る?」と、聞いたところ、「アジをやりたい!!」とのこと、
どうやら、引き味より、食べる方の味の方がお好きなようなので、
30分ほどでキャスティングを終了して、アジのポイントへGO!!
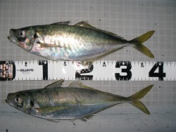
アジは、40cmの型の良いのを筆頭に、20匹ほどゲットでした・・・(*^^)v
美味しそう!! タタキかナメロウで、食べた~~~~い!!
名物、なが餅、ありがとうございます・・・m(__)m
美味しかったです・・・(^^)/
080-2505-8794

































