船基本情報
| 船名 | Hit Rush(ヒット ラッシュ) |
|---|---|
| 都道府県 | 大阪 |
| 場所 | 大阪府泉佐野市 食品コンビナート 北岸壁 Google Map |
| ホームページ | http://hitrush.jp/ |
| ブログ | http://hitrush.sblo.jp/ |
| 電話番号 | 090-9177-8625 |
| ジャンル | ジギング、キャスティング、タイラバ |
Hit Rush(ヒット ラッシュ)
Loading...
いいねしたユーザー(件)
釣行日
2016/06/11
時間
昼
天気
--
気温
--
潮
小潮
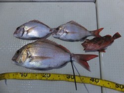
釣果
釣果は、マダイ 40cmまでが3匹、ガシラでした。












