Hit Rush(ヒット ラッシュ)
今日は、タイラバとキャスティングになりました。
期待していたタイラバはアタリ少なくキャスティングも1ヒットでしたが、
残念ながらフックオフでした。
090-9177-8625
| 船名 | Hit Rush(ヒット ラッシュ) |
|---|---|
| 都道府県 | 大阪 |
| 場所 | 大阪府泉佐野市 食品コンビナート 北岸壁 Google Map |
| ホームページ | http://hitrush.jp/ |
| ブログ | http://hitrush.sblo.jp/ |
| 電話番号 | 090-9177-8625 |
| ジャンル | ジギング、キャスティング、タイラバ |
2016/05/22
昼
--
--
大潮
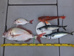
釣果は、マダイ 55cmまでが2匹、サバ 2匹、ホウボウでした。
今日は、タイラバとキャスティングになりました。
期待していたタイラバはアタリ少なくキャスティングも1ヒットでしたが、
残念ながらフックオフでした。
090-9177-8625